Local Service Overview

Get Red Ant Extermination in Dallas, TX

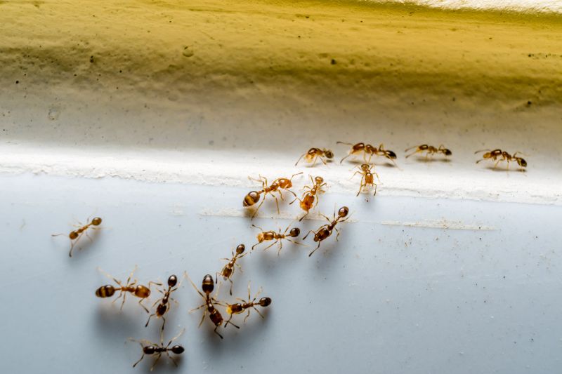
Red Ant Extermination services in Dallas, TX, and nearby areas address pest problems such as ants, roaches, and rodents through residential and commercial pest control projects.

Dallas, TX

Red ant extermination services are essential for property owners in Dallas, TX seeking to protect their homes and outdoor spaces from invasive pests. These services help reduce the risk of ant infestations that can compromise comfort and safety, especially during warmer months when ants are most active. By addressing ant problems promptly, property owners can maintain a clean, pest-free environment that supports the overall functionality and durability of their property.

Engaging professional extermination services also offers benefits such as enhanced curb appeal and reduced ongoing maintenance. A well-treated property not only looks more inviting but also minimizes the likelihood of future pest issues, saving time and effort in upkeep. With expert assistance, Dallas residents can enjoy a more comfortable, safe, and visually appealing home environment.

Get Red Ant Extermination Quotes

  • Red Ant Extermination services are essential for properties experiencing infestations that disrupt daily activities.
  • Red Ant Extermination is needed when ants invade outdoor living spaces, gardens, or landscaping in residential or commercial areas.
  • Red Ant Extermination may be required for businesses or homes facing persistent ant problems that threaten hygiene or safety.
  • Red Ant Extermination is advisable when ant colonies have become large and difficult to manage with DIY methods.
  • Red Ant Extermination services are sought after in areas where ant activity has increased due to seasonal changes or environmental conditions.

Get Red Ant Extermination Quotes

Red Ant Extermination
Red Ant Extermination
Red Ant Extermination

Red ant extermination services focus on identifying and eliminating red ant colonies that invade residential, commercial, or industrial properties. These services typically involve thorough inspections to locate ant nests and entry points, followed by targeted treatments using specialized products designed to eradicate the entire colony. Some providers may also offer ongoing monitoring or preventative measures to reduce the likelihood of future infestations. The goal is to effectively remove the ants and prevent them from causing further nuisance or damage.

Red ants can pose various problems for property owners. Their presence often leads to nuisance bites and stings, which can be uncomfortable or even dangerous for residents or visitors. Additionally, red ants may damage landscaping, wooden structures, or electrical wiring if they establish colonies within or near these areas. In some cases, red ants can also interfere with outdoor activities or create a general sense of discomfort in affected spaces. Professional extermination services help address these issues by removing the colonies and reducing the risk of recurring problems.

These extermination services are commonly utilized in a variety of property types. Residential homes frequently seek red ant control to protect family members and maintain outdoor enjoyment. Commercial properties such as restaurants, retail stores, and office buildings may also require pest management to ensure a pest-free environment for employees and customers. Additionally, agricultural operations, parks, and public spaces sometimes need professional assistance to manage red ant populations that threaten crops, landscaping, or public safety. The scope of service can be tailored to fit the specific needs of each property type.

Partnering with local pest control providers for red ant extermination ensures that property owners receive targeted and effective treatments. These professionals are equipped to handle infestations of different sizes and complexities, whether in a small backyard or a large commercial site. By addressing red ant issues promptly, property owners can maintain a safer, more comfortable environment. Contacting local experts is a practical step toward managing and preventing red ant problems efficiently.

The overview below groups typical Red Ant Extermination projects into broad ranges so you can see how smaller, mid-sized, and larger jobs often compare in Dallas, TX.

In many markets, a large share of routine jobs stays in the lower and middle ranges, while only a smaller percentage of projects moves into the highest bands when the work is more complex or site conditions are harder than average.

Initial Inspection - The cost for an initial inspection of red ant activity typically ranges from $50 to $150. This fee covers assessing the extent of the infestation and identifying entry points for treatment.

Basic Treatment - Standard treatment services usually cost between $100 and $300, depending on the size of the affected area. This includes applying ant baits and residual insecticides to eliminate the colony.

Extended Treatment - More comprehensive or repeated treatments can range from $200 to $500 or more. These services are recommended for severe or persistent infestations requiring multiple visits.

Follow-Up Services - Follow-up visits to monitor and ensure ant elimination generally cost between $75 and $200 each. The number of visits needed varies based on the infestation's severity and response to initial treatments.

Actual totals will depend on details like access to the work area, the scope of the project, and the materials selected, so use these as general starting points rather than exact figures.

Get a Red Ant Extermination Quote

Ant Extermination - Local pest control providers offer specialized services to eliminate ant infestations and prevent future issues in residential and commercial properties.

Termite Control - Contractors provide treatment options to address termite activity, helping protect structures from potential damage caused by these pests.

Carpenter Ant Removal - Service providers focus on identifying and removing carpenter ants that can cause wood damage within homes and buildings.

Pavement Ant Eradication - Local exterminators assist in controlling pavement ant populations that may invade outdoor and indoor spaces.

Fire Ant Management - Professionals implement targeted treatments to reduce fire ant colonies and mitigate their nuisance and potential hazards.

Sugar Ant Prevention - Local experts help in managing sugar ant infestations through effective removal and barrier techniques to keep them at bay.

Red Ant Extermination

When selecting a professional for Red Ant Extermination services, it's important to consider their experience in handling ant infestations. Pros with a proven track record often demonstrate familiarity with local ant species and effective treatment methods. Homeowners should inquire about how long the contractor has been providing pest control services in the Dallas area, as well as their familiarity with the specific challenges posed by local environments. This background can help ensure the chosen provider has the practical knowledge needed to address the problem efficiently.

Clear communication and written expectations are essential when working with a pest control contractor. Reputable professionals typically provide detailed service descriptions, outlining what treatments will be performed and what homeowners can expect during and after the process. Having these written expectations helps establish transparency and reduces misunderstandings. Homeowners should also seek providers who are responsive and willing to answer questions, ensuring that all concerns are addressed before work begins.

Reputable references and reviews can offer insight into a contractor’s reliability and quality of work. Homeowners are encouraged to ask for references or look for reviews from other clients in the Dallas area who have used Red Ant Extermination services. This feedback can reveal the contractor’s communication style, professionalism, and success rate. Since the site introduces local options but does not perform the work itself, it’s advisable to contact multiple service providers directly to compare their experience, references, and communication approach before making a decision.

Get a Red Ant Extermination Quote

Property owners in Dallas, TX use Red Ant Extermination services for practical projects around their homes and businesses. The sections below highlight everyday jobs and straightforward project options.

Red Ant Extermination
Red Ant Extermination

Red ant extermination services are often sought by property owners in Dallas, TX, who are dealing with persistent ant infestations. These small pests can quickly become a nuisance, especially during warmer months, invading kitchens, gardens, and outdoor living spaces. Homeowners and business owners may look for professional assistance to effectively eliminate red ants and prevent future invasions, ensuring a safe and comfortable environment.

In addition to residential properties, commercial spaces, restaurants, and community areas in Dallas may require red ant extermination to maintain sanitation standards and protect their premises. Property owners might pursue professional services when ant issues threaten to disrupt daily operations or compromise hygiene. Engaging experienced local service providers can help address these concerns efficiently and thoroughly.

Get a Red Ant Extermination Quote

What types of pests do Red Ant Extermination services target? Red ant extermination services typically focus on eliminating red ant colonies, including common species like fire ants and other similar pests.

How can I tell if I have a red ant infestation? Signs of red ant infestation include visible ant colonies, ant trails, and increased ant activity around your property.

Are the extermination methods safe for pets and children? Many local pros use pest control methods that are safe for households with pets and children; it’s best to inquire about specific treatments when contacting a provider.

How long does a typical red ant extermination treatment take? Treatment duration can vary depending on the severity of the infestation, but services generally aim to address the problem efficiently.

What should I do before a red ant extermination service? It’s recommended to clear the area of clutter and inform the service provider of any visible ant activity or specific concerns.

Red Ant Extermination Services - Local pest control providers offer targeted solutions to eliminate red ants and prevent future infestations.

Inspection and Identification - Professionals can assess the extent of an ant problem and identify entry points to develop an effective treatment plan.

Treatment Options - Service providers utilize various methods, including baiting and residual treatments, to effectively control red ant populations.

Preventative Measures - Experts can advise on property modifications and ongoing treatments to reduce the likelihood of red ant re-infestation.

Red Ant Extermination

Considering Red Ant Extermination for a property in Dallas, TX? The sections above highlight common project types, practical options, and details that often shape the scope of work.

When you are ready, use the quote form to share a few details about your project. Local pros can review the basics and respond with options that match what you have in mind.

Get a Red Ant Extermination Quote

Red Ant Extermination Quotes

Our Trusted Partners
Cantu Pest Control
Orkin
Hawx Pest Control
Mosquito Shield