Local Service Overview

Get Black Ant Extermination in Addison, TX

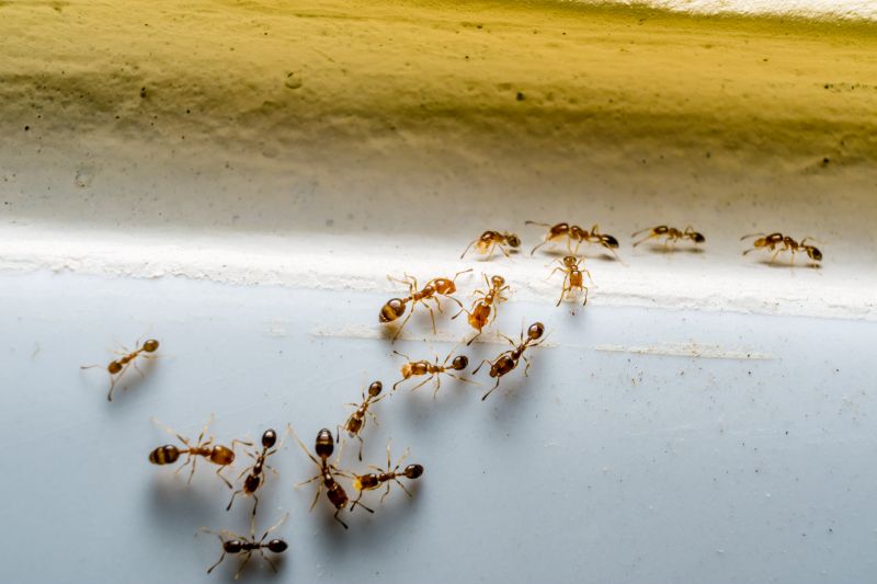
Black Ant Extermination services for property owners in Addison, TX, and nearby areas address ant infestations, prevent future invasions, and handle residential or commercial pest control projects.

Addison, TX

Black ant extermination services are a practical solution for property owners in Addison, TX seeking to maintain a comfortable and safe living environment. Ant infestations can disrupt daily routines and compromise the overall functionality of a home or business, making prompt and effective removal essential. Professional exterminators utilize targeted methods to eliminate existing colonies and prevent future invasions, helping to preserve the durability of structures by reducing the risk of damage caused by persistent pests.

Choosing expert ant control also offers benefits related to curb appeal and reduced maintenance. A property free of ant activity looks cleaner and more inviting, enhancing its visual appeal. Additionally, regular pest management can decrease the need for ongoing repairs or cleanup efforts associated with ant infestations, contributing to a more enjoyable and hassle-free property experience. Local service providers are equipped to deliver tailored solutions that address specific needs, ensuring long-term comfort and peace of mind.

Get Black Ant Extermination Quotes

  • Ant Extermination - needed when black ants invade kitchens, pantries, or other indoor areas.
  • Outdoor Ant Control - required when black ants establish colonies around yards, gardens, or exterior structures.
  • Infestation Removal - necessary for severe black ant populations that threaten home or property integrity.
  • Preventive Treatments - advisable to stop black ants from re-entering homes in residential neighborhoods.
  • Residential Ant Solutions - sought when black ants are spotted in living spaces of homes in Addison, TX, and nearby communities.

Get Black Ant Extermination Quotes

Black Ant Extermination
Black Ant Extermination
Black Ant Extermination

Black ant extermination services focus on identifying and eliminating ant colonies that invade residential and commercial properties. These services typically involve thorough inspections to locate nests and entry points, followed by targeted treatments to eradicate the ants and prevent future infestations. Depending on the severity of the problem, exterminators may use a combination of baiting, dusting, and liquid insecticides to effectively eliminate black ants from the premises. The goal of these services is to create a pest-free environment by addressing the source of the infestation and reducing the likelihood of re-infestation.

Black ant problems can cause significant nuisances for property owners, especially when colonies grow large or become persistent. These ants often invade kitchens, pantries, and other areas where food is stored, contaminating supplies and creating unsanitary conditions. In addition to food contamination, black ants can sometimes damage electrical wiring or other structural components if they establish nests within walls or beneath floors. Exterminating these pests promptly helps minimize property damage, reduce health risks, and restore comfort and safety within affected spaces.

Properties that commonly utilize black ant extermination services include residential homes, apartment complexes, restaurants, and retail stores. Homes with gardens or outdoor spaces are particularly vulnerable, as black ants often establish nests near landscaping or foundation cracks. Commercial establishments such as food service businesses and grocery stores seek extermination services to maintain hygiene standards and prevent food contamination. Additionally, property managers and landlords frequently contact pest control providers to address ant issues across multiple units or commercial spaces.

Professional black ant extermination services are tailored to suit the specific needs of each property type and infestation level. Service providers use proven methods to locate nests and apply treatments that target both visible ants and hidden colonies. Regular inspections and preventative treatments may be recommended to maintain a pest-free environment over time. Contacting local pest control experts ensures that property owners and managers receive effective solutions designed to eliminate black ant problems efficiently and safely.

The overview below groups typical Black Ant Extermination projects into broad ranges so you can see how smaller, mid-sized, and larger jobs often compare in Addison, TX.

In many markets, a large share of routine jobs stays in the lower and middle ranges, while only a smaller percentage of projects moves into the highest bands when the work is more complex or site conditions are harder than average.

Initial Inspection - The cost for a professional inspection of black ant activity typically ranges from $100 to $250. This fee covers assessing the extent of the infestation and planning treatment options.

Perimeter Treatment - Applying a perimeter barrier treatment usually costs between $150 and $400. The price varies depending on property size and the complexity of the treatment area.

Localized Spot Treatment - Targeted spot treatments for black ant nests often cost between $75 and $200 per session. Multiple visits may be necessary for severe infestations.

Ongoing Maintenance - Regular maintenance services to prevent black ant reinfestation typically range from $50 to $150 per visit. The frequency of visits influences the overall cost.

Actual totals will depend on details like access to the work area, the scope of the project, and the materials selected, so use these as general starting points rather than exact figures.

Get a Black Ant Extermination Quote

Ant Extermination services focus on eliminating black ants from residential and commercial properties through targeted treatment methods. Local pest control providers can assess the extent of the infestation and recommend appropriate solutions.

Black Ant Prevention services help in establishing barriers and ongoing treatments to prevent future ant invasions, suitable for homeowners seeking long-term protection.

Residential Pest Control providers offer comprehensive ant control options tailored to homes, addressing black ant issues alongside other common pests.

Commercial Ant Control services are designed for businesses experiencing black ant problems, ensuring minimal disruption while effectively managing infestations.

Eco-Friendly Ant Removal options are available from some local providers, utilizing methods that reduce chemical usage while controlling black ant populations.

Emergency Ant Extermination services are available for urgent black ant infestations that require immediate attention to prevent further spread.

Black Ant Extermination

When selecting a professional for Black Ant Extermination services, it’s important to consider their experience in handling ant infestations. Experienced contractors typically have a history of managing similar pest issues in residential settings, which can contribute to more effective and efficient treatments. Homeowners should inquire about the length of time a local service provider has been operating and their familiarity with ant behaviors specific to areas like Addison, TX, to ensure they are well-equipped to address the problem.

Clear communication and well-defined expectations are essential when working with pest control providers. Reputable local pros should be willing to explain their treatment methods, outline what homeowners can expect during and after the service, and answer any questions about the process. Establishing these expectations upfront can help prevent misunderstandings and ensure that the homeowner is informed about the scope of work and any necessary follow-up actions.

References and reputation are valuable indicators of a service provider’s reliability and quality of work. Homeowners are encouraged to seek out local pros with positive references or reviews from previous clients in the community. Reputable providers often have a track record of consistent service, which can be verified through word-of-mouth recommendations or online reviews. Additionally, good communication practices, such as prompt responses and professional interactions, contribute to a positive experience when selecting a pest control specialist for Black Ant Extermination.

Get a Black Ant Extermination Quote

Property owners in Addison, TX use Black Ant Extermination services for practical projects around their homes and businesses. The sections below highlight everyday jobs and straightforward project options.

Black Ant Extermination
Black Ant Extermination

Black ant extermination services are commonly sought by property owners in Addison, TX, who notice persistent ant activity around their homes or businesses. These insects can invade kitchens, bathrooms, and outdoor spaces, creating nuisances and potential health concerns. Local service providers can assess the extent of an ant problem and implement targeted treatments to help restore comfort and prevent future infestations.

Property owners may also look for black ant extermination when preparing for seasonal changes or after experiencing an increase in pest activity following construction or landscaping projects. Professional exterminators can provide effective solutions to eliminate colonies and reduce the likelihood of recurring issues, helping maintain a pest-free environment in residential and commercial properties throughout the area.

Get a Black Ant Extermination Quote

Why are black ants attracted to my home? Black ants are drawn to food sources, water, and shelter, making homes and kitchens common areas for infestations.

How can I prevent black ants from entering my property? Sealing entry points, keeping surfaces clean, and removing food debris can help reduce the likelihood of black ant invasions.

What signs indicate a black ant infestation? Visible trails, ant colonies near foundations, and increased ant activity indoors are common signs of an infestation.

Are DIY methods effective against black ants? While some DIY approaches may temporarily reduce ants, professional extermination services are often more effective for complete removal.

How do local extermination pros typically eliminate black ants? They use targeted treatments and baits designed to eliminate colonies and prevent future invasions.

Black Ant Extermination Methods - Local pest control providers utilize a variety of techniques to effectively eliminate black ants from residential and commercial properties.

Integrated Pest Management Strategies - Service providers may implement comprehensive plans that include inspection, baiting, and exclusion to prevent future infestations.

Signs of Black Ant Infestation - Professionals can identify common indicators such as ant trails, nesting sites, and structural entry points to address the problem promptly.

Choosing a Pest Control Service - Contact local experts to discuss your ant issues and find tailored extermination solutions suited to your property.

Black Ant Extermination

Considering Black Ant Extermination for a property in Addison, TX? The sections above highlight common project types, practical options, and details that often shape the scope of work.

When you are ready, use the quote form to share a few details about your project. Local pros can review the basics and respond with options that match what you have in mind.

Get a Black Ant Extermination Quote

Black Ant Extermination Quotes

Our Trusted Partners
Cantu Pest Control
Orkin
Hawx Pest Control
Mosquito Shield