Local Service Overview

Get Black Ant Extermination in Mckinney, TX

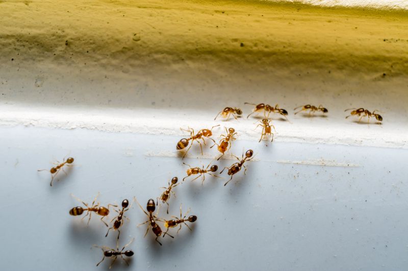
Black Ant Extermination services for property owners in McKinney, TX, address ant infestations, prevent future invasions, and treat residential or commercial structures.

Mckinney, TX

Black ant extermination services offer property owners in Mckinney, TX an effective way to address persistent ant problems. By eliminating colonies and preventing future invasions, these services help maintain a comfortable and safe living environment. Reducing ant activity can also protect household structures and belongings from damage, ensuring the home remains functional and free from pest-related issues.

Choosing professional extermination can enhance curb appeal by keeping outdoor spaces and entry points clear of unsightly ant mounds and trails. Additionally, a thorough approach often leads to reduced maintenance needs over time, as ant infestations are effectively managed and future outbreaks are less likely to occur. This combination of benefits helps property owners enjoy a more secure, inviting, and durable home environment.

Get Black Ant Extermination Quotes

  • Black Ant Extermination services are recommended when ants invade residential or commercial properties in Mckinney, TX and surrounding areas. If you notice persistent ant activity indoors or around the foundation, professional exterminators can help eliminate the infestation. For ant colonies that have spread to nearby neighborhoods or outdoor spaces, local pest control providers can address the issue effectively. When dealing with large or hard-to-reach ant nests, specialized extermination methods may be necessary, requiring expert assistance. Contacting experienced pest control professionals ensures targeted treatment to resolve ant problems promptly.

Get Black Ant Extermination Quotes

Black Ant Extermination
Black Ant Extermination
Black Ant Extermination

Black ant extermination services focus on identifying and eliminating infestations of black ants from residential, commercial, and industrial properties. These services typically involve thorough inspections to locate ant colonies and entry points, followed by targeted treatments using appropriate pest control methods. Professionals may apply baits, insecticidal sprays, or dusts designed to eradicate black ants at various stages of their life cycle. The goal is to reduce or eliminate ant populations and prevent future invasions, ensuring a pest-free environment.

Black ants can cause significant problems when they invade homes and properties. They often contaminate food supplies, create unsightly trails, and may damage structures by nesting within walls or under floors. In some cases, black ants can also attract other pests or contribute to the spread of bacteria, posing health concerns for residents. Effective extermination services help address these issues by removing existing colonies and implementing preventative measures to minimize the risk of recurring infestations.

Properties that frequently utilize black ant extermination services include single-family homes, apartment complexes, restaurants, and commercial buildings. Residential properties often seek treatment when black ants are seen in kitchens, pantries, or around entry points. Commercial establishments, especially those involved in food preparation or storage, prioritize pest control to maintain hygiene standards and comply with health regulations. Additionally, property managers and landlords may arrange regular pest inspections and treatments to keep their premises free of black ants and other pests.

Professional extermination services for black ants are tailored to the specific needs of each property type. Technicians assess the extent of the infestation and recommend appropriate treatment strategies, which may involve a combination of chemical and non-chemical methods. Preventative advice might also be provided to help property owners and managers reduce attractants and entry points for black ants. Contacting local pest control providers ensures that properties receive targeted, effective solutions to manage and prevent black ant problems.

The overview below groups typical Black Ant Extermination projects into broad ranges so you can see how smaller, mid-sized, and larger jobs often compare in Mckinney, TX.

In many markets, a large share of routine jobs stays in the lower and middle ranges, while only a smaller percentage of projects moves into the highest bands when the work is more complex or site conditions are harder than average.

Initial Black Ant Extermination - The cost for a single treatment typically ranges from $150 to $300, depending on the size of the property and infestation severity. Some providers may charge higher for extensive or hard-to-reach areas.

Follow-up Treatments - Follow-up visits usually cost between $100 and $250 each, with prices varying based on the number of visits needed and property size. Regular maintenance can help prevent future infestations.

Whole-Property Extermination - Complete property treatments for black ants can range from $300 to $600, especially for larger homes or commercial spaces. The cost reflects the extent of the infestation and treatment area.

Emergency or Same-Day Services - Emergency services or same-day treatments might cost between $200 and $400, depending on the urgency and complexity of the job. Prices vary among local service providers in Mckinney, TX, and nearby areas.

Actual totals will depend on details like access to the work area, the scope of the project, and the materials selected, so use these as general starting points rather than exact figures.

Get a Black Ant Extermination Quote

Ant Extermination - Local pest control providers offer specialized services to eliminate black ants from residential and commercial properties, ensuring effective removal and prevention.

Infestation Inspection - Pros conduct thorough inspections to identify ant nesting sites and entry points, helping to develop targeted treatment plans.

Barrier Treatments - Service providers apply barrier treatments around structures to create a protective zone that deters black ants from entering indoor spaces.

Baiting Solutions - Local exterminators utilize baiting systems to attract and eliminate black ants at the source, reducing the likelihood of future outbreaks.

Sanitation and Prevention Advice - Experts offer guidance on sanitation practices and structural repairs to minimize attractants and prevent re-infestation.

Follow-up Services - Ongoing monitoring and follow-up treatments are available to ensure black ant problems are fully resolved and do not recur.

Black Ant Extermination

When selecting a professional for black ant extermination services, it’s important to consider their experience in handling similar pest issues. Reputable local providers often have extensive knowledge of ant behavior and effective treatment methods, which can contribute to more successful and lasting results. Homeowners should inquire about the duration of a provider’s experience and their familiarity with black ant infestations specific to the Mckinney, TX area or nearby communities.

Clear communication and written expectations are vital when working with pest control specialists. Pros should provide detailed information about the scope of services, treatment procedures, and any preparations needed before the work begins. Having these details in writing helps ensure that both parties are aligned and can prevent misunderstandings. Homeowners are encouraged to seek providers who are transparent about their processes and willing to address questions or concerns.

Reputable references and reviews can offer insights into a local provider’s reliability and quality of service. While the information below introduces options, it’s advisable for homeowners to verify a pest control company’s reputation through references, testimonials, or online reviews. Consistent, positive feedback often indicates a provider’s ability to communicate effectively, deliver consistent results, and maintain professionalism throughout the service process.

Get a Black Ant Extermination Quote

Property owners in Mckinney, TX use Black Ant Extermination services for practical projects around their homes and businesses. The sections below highlight everyday jobs and straightforward project options.

Black Ant Extermination
Black Ant Extermination

Black ant infestations can be a common concern for property owners in Mckinney, TX, especially during warmer months when these insects are most active. Residents and business owners may seek extermination services to prevent ants from invading kitchens, storage areas, or outdoor spaces, which can lead to discomfort and potential damage. Local service providers are available to assess the situation, identify the extent of the problem, and implement targeted treatments to help maintain a pest-free environment.

In addition to immediate nuisance control, property owners often turn to extermination professionals to address ongoing ant issues or prevent future outbreaks. Proper treatment can help protect landscaping, foundations, and indoor spaces from repeated invasions. Engaging with local experts ensures that the specific conditions of Mckinney’s climate and environment are considered, supporting effective and efficient pest management tailored to individual property needs.

Get a Black Ant Extermination Quote

Why are black ants attracted to my home? Black ants are drawn to food sources, moisture, and shelter around residential areas, making homes attractive for nesting and foraging.

How can I identify a black ant infestation? Signs include visible trails of ants, increased ant activity near food or water sources, and small piles of debris or dirt near entry points.

Are black ants dangerous? Black ants are generally not harmful to humans, but they can contaminate food and become a nuisance if they invade living spaces.

What extermination options are available for black ants? Local service providers typically offer baiting, perimeter treatments, and targeted insecticide applications to control black ant populations.

How can I prevent future black ant infestations? Sealing entry points, removing food and water sources, and maintaining cleanliness around the home can help reduce the likelihood of future invasions.

Black Ant Extermination Solutions - Local service providers offer targeted treatments to eliminate black ants from residential and commercial properties.

Inspection and Identification - Pros can assess infested areas to identify ant colonies and determine the most effective extermination methods.

Prevention Strategies - Experts provide advice on reducing attractants and sealing entry points to prevent future black ant invasions.

Ongoing Monitoring and Maintenance - Service providers can establish plans for regular inspections to ensure black ant issues are kept under control.

Black Ant Extermination

Considering Black Ant Extermination for a property in Mckinney, TX? The sections above highlight common project types, practical options, and details that often shape the scope of work.

When you are ready, use the quote form to share a few details about your project. Local pros can review the basics and respond with options that match what you have in mind.

Get a Black Ant Extermination Quote

Black Ant Extermination Quotes

Our Trusted Partners
Cantu Pest Control
Orkin
Hawx Pest Control
Mosquito Shield