Ant Pest Control Methods That Target Colonies at the Source

People searching for ant pest control methods that target colonies at the source aim to eliminate ants effectively by treating their nests, and local contractors can provide expert solutions to do so.

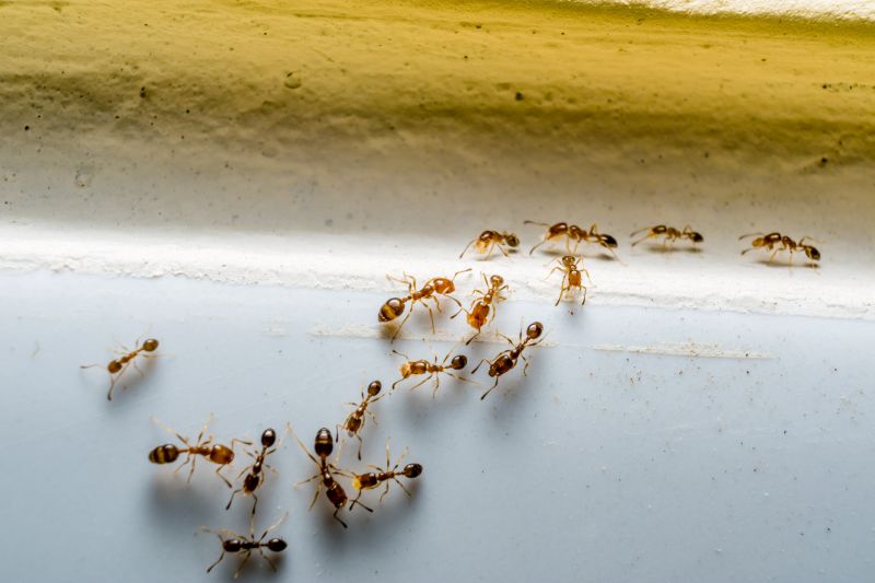
Ant pest control methods that target colonies at the source are essential for effectively managing persistent ant problems around properties. Property owners in the area often seek out these strategies to prevent ants from establishing large, hard-to-control colonies that can invade homes and outdoor spaces. By addressing the colony at its origin, these methods aim to eliminate the entire ant population rather than just surface-level sightings, providing a more comprehensive solution. Local contractors skilled in ant pest control can assess the specific types of ants and identify their nesting sites, ensuring that treatments are both targeted and effective.

Exploring ant pest control techniques that focus on the colony at the source can lead to more lasting results and reduce the likelihood of future invasions. Property owners who notice frequent ant activity or suspect hidden nests might consider professional services that specialize in these targeted approaches. Local service providers are equipped to implement strategies that disrupt the colony’s foundation, often involving specialized treatments that reach deep into nesting sites. Keeping reading can help uncover practical insights into how these methods work and how local contractors can assist in safeguarding properties against ongoing ant issues.

Get Quotes for Ant Pest Control

  • Colony elimination - homeowners noticing persistent ant activity may need local contractors who specialize in targeting entire colonies at their source for effective control.
  • Nest destruction - when ant nests are located indoors or outdoors, service providers use targeted treatments to eliminate colonies from the root.
  • Barrier treatments - property owners seeking long-term prevention often work with local pros to establish barriers that disrupt colony expansion.
  • Baiting strategies - those dealing with large or hidden colonies can rely on service providers to apply bait methods that attract and eradicate ants at their source.
  • Inspection and removal - individuals experiencing ongoing infestations benefit from local experts who identify and remove colonies before they spread further.
Ant Pest Control Methods That Target Colonies At The Source
Ant Pest Control Methods That Target Colonies At The Source
Ant Pest Control Methods That Target Colonies At The Source

When people search for ant pest control methods that target colonies at the source, they are typically looking for strategies that go beyond surface-level treatments. This approach aims to eliminate entire ant colonies by addressing their nests and reproductive centers, rather than just removing visible ants. Homeowners often face recurring infestations despite using bait or sprays, which indicates that the colony’s core remains intact. Understanding this distinction is crucial for effective control, as targeting the colony at its source can prevent future invasions and reduce the need for repeated treatments.

These methods are especially relevant for property owners dealing with persistent ant problems that seem to originate from specific areas. Common issues include ants nesting in lawns, under concrete slabs, or within wall voids. Plans to control ants at the colony level often involve identifying and treating nests directly, which may require specialized techniques like baiting strategies that attract and eliminate the queen and the entire colony. Local contractors experienced in ant pest control can assess the property to locate nests accurately and implement targeted treatments that disrupt the colony’s structure at its core.

Properties that typically encounter these challenges include residential homes, especially those with yards or gardens, as well as commercial buildings with landscaped surroundings. Structures with cracks, crevices, or moisture issues tend to be more prone to ant nesting, making colony-targeted treatments essential for long-term control. Ant colonies can be difficult to eradicate with simple surface treatments alone, so property owners often seek the expertise of local service providers who use advanced methods to locate and eliminate nests at the source. These professionals can help develop a comprehensive plan that addresses the root of the problem, ensuring more effective and lasting results.

Understanding how ant pest control methods that target colonies at the source fit into a broader pest management plan is vital for homeowners. These approaches are designed to disrupt the colony’s reproductive cycle by focusing on the nest, which is often hidden and hard to reach. Local contractors bring experience in identifying nesting sites and applying treatment strategies that penetrate deep into the colony’s infrastructure. For property owners, working with these service providers can lead to more efficient control, reducing the likelihood of future infestations and helping maintain a pest-free environment.

Termite Inspection and Treatment - professionals skilled in identifying and treating colonies at their source can often address ant nests in similar hidden or hard-to-reach areas.

Rodent Control Services - these projects require planning and tools to locate and eliminate colonies or nests at their entry points and within structures.

Wasp and Hornet Nest Removal - targeting nests at the source involves similar techniques for locating and safely removing colonies in outdoor or hard-to-access locations.

Bed Bug Detection and Eradication - both involve inspecting and treating hidden colonies, requiring careful planning and specialized tools used by local service providers.

Mosquito Breeding Site Elimination - identifying and treating breeding grounds at the source shares skills with ant colony targeting, especially in outdoor environments.

Spider Web and Nest Removal - removing spider colonies involves locating and treating nests at their source, similar to ant colony control methods.

Ant Pest Control Methods That Target Colonies At The Source

When comparing service providers for ant pest control methods that target colonies at the source, it’s important to consider their experience with similar projects. Homeowners should inquire about how long a contractor has been handling ant infestations, especially those involving colony elimination strategies. An experienced local contractor will likely have a better understanding of the specific behaviors and nesting habits of local ant species, which can influence the effectiveness of colony-targeting techniques. By reviewing the background and scope of past work, homeowners can gain confidence that the service provider is knowledgeable about the most effective methods for eliminating ant colonies at their source.

Clear written expectations are essential when choosing a pest control service. Homeowners should seek detailed explanations of the treatment plan, including what methods will be used to target colonies at the source and what areas will be treated. Understanding the scope of work helps ensure there are no surprises and that the approach aligns with the homeowner’s concerns. Reputable service providers should be willing to provide this information in writing, outlining the steps involved and any follow-up actions that might be necessary to achieve the best results. This transparency can help homeowners make informed decisions and set realistic expectations for the outcome.

Reputable references and good communication are key factors to consider during the selection process. Homeowners are encouraged to ask for references or reviews from previous clients who had similar ant issues, particularly those involving colony elimination. Feedback from past customers can provide insights into the contractor’s reliability and effectiveness. Additionally, effective communication throughout the process-such as responsiveness to questions and clarity in explanations-can make a significant difference in the overall experience. Service providers who prioritize clear, ongoing communication are more likely to deliver a professional and satisfactory pest control solution that effectively targets ant colonies at their source.

Get a Quote for Ant Pest Control

Property owners often search for ant pest control methods that target colonies at the source when they are planning practical projects around their homes and businesses. Local pros provide Ant Pest Control services for everyday jobs and straightforward project options.

Ant Pest Control Methods That Target Colonies At The Source
Ant Pest Control Methods That Target Colonies At The Source

Homeowners and property owners often seek out ant pest control methods that target colonies at the source to effectively manage persistent ant problems. When ants invade yards, gardens, or indoor spaces, they often establish large colonies underground or within structural voids, making surface treatments less effective. Local contractors specializing in pest control can implement strategies that focus on locating and treating the colony itself, helping to eliminate the root of the infestation rather than just the visible ants. This approach can lead to longer-lasting results and reduce the chances of future invasions.

People in the area may consider professional ant pest control services because DIY solutions sometimes fall short of reaching hidden colonies. Local service providers are equipped with the knowledge and tools to identify ant entry points and nesting sites, allowing them to apply targeted treatments that disrupt the colony at its core. Whether through baiting systems, soil treatments, or nest removal techniques, these pros can tailor their approach to the specific type of ant and the unique conditions of each property. Engaging experienced local contractors can be a practical step toward achieving more comprehensive and lasting ant control.

Get a Quote for Ant Pest Control

How do ant pest control methods target colonies at the source? Local contractors often use targeted treatments like bait stations and residual insecticides to eliminate ant colonies directly at their nesting sites, preventing re-infestation.

Are baiting systems effective for controlling entire ant colonies? Yes, professional baiting systems are designed to attract worker ants, which then carry the poison back to the colony, effectively reducing the entire colony at its source.

What role do residual insecticides play in ant colony elimination? Residual insecticides are applied around entry points and nest areas to create a barrier that kills ants at the source and discourages new colonies from forming nearby.

Can local service providers identify ant nesting sites to target colonies effectively? Yes, experienced contractors can locate ant nests through inspections and use this information to apply treatments directly to the colony’s location for more effective control.

What methods do pros use to prevent future ant colonies from establishing? Professionals often implement ongoing barrier treatments and strategic bait placements to disrupt colony formation and prevent new colonies from taking hold at the source.

Identifying ant colonies at their source - property owners can work with local contractors to locate nests outdoors and inside structures, enabling targeted treatment strategies.

Applying bait and barrier treatments - professionals can set up ant bait stations and barriers near entry points to disrupt colony growth at the source.

Removing nearby attractants and nesting sites - property owners can collaborate with local pros to eliminate debris, mulch, or standing water that encourage ant colonies to thrive.

Implementing ongoing monitoring and follow-up - regular inspections by service providers help ensure ant colonies are controlled by addressing new nesting sites promptly.

Ant Pest Control Methods That Target Colonies At The Source

If you are thinking about ant pest control methods that target colonies at the source for a property, this guide is meant to help you understand this topic, the typical project types, and how different options might fit your plans.

When you are ready, you can use the quote form on this page to share a few details about your project. From there, local pros can review the basics and follow up with options that match what you have in mind.

Get a Quote for Ant Pest Control

Ant Pest Control Quotes

Our Trusted Partners
Cantu Pest Control
Orkin
Hawx Pest Control
Mosquito Shield