Local Service Overview

Get Ants Extermination Service in Kaufman County, TX

Ants extermination services for property owners in Kaufman County, TX, address ant infestations, prevent future invasions, and handle residential and commercial ant control projects.

Kaufman County, TX

Ants extermination services are essential for property owners in Kaufman County, TX seeking to maintain a comfortable and functional living or working environment. Effective pest control helps prevent ant infestations that can disrupt daily routines, damage structures, or contaminate food supplies. By addressing ant problems promptly, property owners can enjoy a safer space, reduce the likelihood of future issues, and preserve the durability of their buildings and landscapes.

Choosing professional ant extermination services offers benefits such as enhanced curb appeal and reduced maintenance needs. A pest-free property looks more inviting and well-maintained, which can positively impact overall property value. Additionally, professional treatments often provide long-lasting results, helping to minimize recurring problems and ensuring the property remains safe, comfortable, and visually appealing for years to come.

Get Ants Extermination Service Quotes

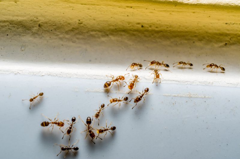
  • Ants Extermination - a service to address ant infestations in residential or commercial properties in Kaufman County, TX and surrounding areas.
  • Ants Inspection - an assessment for identifying ant entry points and nesting sites in homes or businesses.
  • Ants Prevention - strategies to help prevent future ant problems after an initial extermination.
  • Ants Baiting - targeted bait placement to eliminate ant colonies effectively in local properties.
  • Ants Treatment - comprehensive treatment options to control and eradicate ant populations in affected areas.

Get Ants Extermination Service Quotes

Ants Extermination Service
Ants Extermination Service
Ants Extermination Service

Ants extermination services involve identifying and eliminating ant infestations within residential, commercial, or industrial properties. Service providers typically conduct thorough inspections to locate ant colonies and determine the species involved. Treatment methods may include the application of targeted baits, insecticides, or barriers designed to eradicate ants at their source and prevent future invasions. These services aim to create a pest-free environment by addressing the root causes of ant activity and implementing effective control measures.

Ant problems can lead to various issues, including property damage, contamination of food supplies, and overall discomfort for occupants. Certain ant species, such as carpenter ants, are known to cause structural damage by tunneling into wood. Additionally, some ants can become a nuisance, invading kitchens, pantries, and other areas where food is stored. Exterminators help resolve these problems by removing the pests and reducing the likelihood of recurring infestations, thereby maintaining hygiene and property integrity.

Properties that commonly utilize ant extermination services include homes, apartment complexes, restaurants, and retail establishments. Residential properties often seek treatment to protect food storage areas and prevent ant colonies from establishing inside walls or foundations. Commercial properties, especially those involved in food service or retail, prioritize pest control to meet health and safety standards. Industrial facilities may also require specialized treatments to manage large-scale infestations that could disrupt operations or compromise cleanliness.

Professional ant extermination services are tailored to the specific needs of each property type and infestation severity. Service providers typically offer customized solutions based on the extent of the problem and the environment involved. Regular inspections and preventative treatments may be recommended to maintain a pest-free space over time. Contacting local pest control experts can help property owners and managers find effective, targeted solutions to manage and eliminate ant issues efficiently.

The overview below groups typical Ants Extermination Service projects into broad ranges so you can see how smaller, mid-sized, and larger jobs often compare in Kaufman County, TX.

In many markets, a large share of routine jobs stays in the lower and middle ranges, while only a smaller percentage of projects moves into the highest bands when the work is more complex or site conditions are harder than average.

Initial Treatment Costs - The cost for a single ant extermination treatment typically ranges from $100 to $300, depending on the size of the property and infestation severity. For example, a small home may cost around $150, while larger properties could be closer to $250.

Ongoing Service Plans - Regular pest control plans for ant management generally cost between $40 and $70 per month. These plans often include periodic treatments to prevent future infestations.

Per-Visit Fees - Some service providers charge per visit, with prices usually falling between $80 and $200 per appointment. The exact fee depends on the extent of the ant problem and treatment area.

Additional Treatment Expenses - Extra costs may apply for specialized treatments or multiple visits, which can range from $50 to $150 per additional service. These fees vary based on the complexity of the ant infestation and property size.

Actual totals will depend on details like access to the work area, the scope of the project, and the materials selected, so use these as general starting points rather than exact figures.

Get an Ants Extermination Service Quote

Ants Extermination - Local pest control providers offer targeted ant extermination services to eliminate infestations and prevent future issues.

Residential Ant Control - Pros specializing in residential pest removal help homeowners address ant problems in kitchens, basements, and outdoor spaces.

Commercial Ant Extermination - Commercial pest control services assist businesses in managing ant infestations to maintain a hygienic environment.

Eco-Friendly Ant Removal - Service providers may utilize environmentally conscious methods to control ant populations while minimizing chemical use.

Ant Prevention Strategies - Local experts offer advice and treatments to reduce the likelihood of ant re-infestation around properties.

Emergency Ant Pest Control - Immediate response services are available from local providers for urgent ant infestation issues.

Ants Extermination Service

When comparing ant extermination services in Kaufman County and nearby areas, it’s important to consider the experience of local professionals. Established providers often have a track record of handling ant infestations effectively, which can be indicative of their familiarity with common issues and successful treatment methods. Homeowners may want to inquire about how long a service provider has been operating in the area, as well as their experience with different types of ant species and property sizes, to ensure they have the relevant background to address specific needs.

Clear and written expectations are crucial when working with local pros for ant extermination. Reputable service providers typically outline the scope of work, treatment methods, and any necessary follow-up procedures in their communications. Homeowners should seek providers who are transparent about what the service entails and what results can be reasonably expected. This helps establish a mutual understanding and reduces the likelihood of misunderstandings or unmet expectations during the process.

Reputable references and effective communication are key factors to consider when selecting local ant extermination providers. Trusted professionals can often provide references from previous clients or share testimonials that highlight their reliability and quality of work. Additionally, a service provider’s responsiveness and clarity in communication can reflect their professionalism and commitment to customer service. Homeowners are encouraged to contact multiple local options to gather information and assess which providers demonstrate clear, consistent, and respectful communication throughout the inquiry process.

Get an Ants Extermination Service Quote

Property owners in Kaufman County, TX use Ants Extermination Service services for practical projects around their homes and businesses. The sections below highlight everyday jobs and straightforward project options.

Ants Extermination Service
Ants Extermination Service

Ants extermination services are often sought by property owners in Kaufman County, TX, who notice ant activity around their homes or businesses. Common situations include finding trails of ants in kitchens, bathrooms, or outdoor areas, which can indicate a larger infestation. Property owners may look for professional assistance to effectively eliminate the pests and prevent future invasions, especially in cases where DIY methods have not resolved the issue.

Additionally, residents and business owners may turn to local extermination services when ants begin to damage plants, stored goods, or structures. Ant problems can become more than just an annoyance, prompting property owners to seek expert help to address the root causes and implement long-term solutions. Contacting local pest control providers can help ensure that ant issues are managed safely and efficiently.

Get an Ants Extermination Service Quote

How do ant extermination services work? Ant extermination services typically involve inspecting the affected area, identifying ant species and entry points, and applying targeted treatments to eliminate colonies and prevent future infestations.

Are ant extermination treatments safe for pets and children? Many extermination methods are designed to be safe around pets and children, but it is recommended to discuss safety concerns with the local service provider before treatment.

How long does an ant extermination treatment last? The duration of effectiveness varies depending on the treatment type and extent of the infestation; a local professional can provide guidance based on specific circumstances.

Will I need multiple treatments to control an ant problem? Some ant infestations may require multiple treatments to fully eradicate colonies, especially if the infestation is extensive or persistent.

How can I prevent future ant problems? Preventative measures include sealing entry points, removing food sources, and maintaining clean surroundings; local pros can offer tailored prevention advice.

Ants Identification and Prevention - Local professionals can assess your property to identify ant species and recommend effective prevention strategies to reduce future infestations.

Exterior Ant Barriers - Service providers may apply barriers around the foundation and entry points to deter ants from entering your home.

Interior Treatment Options - Experts can implement targeted treatments inside your property to eliminate current ant colonies and prevent re-infestation.

Ongoing Monitoring and Maintenance - Local pros often offer regular inspections and maintenance plans to keep ant problems under control over time.

Ants Extermination Service

Considering Ants Extermination Service for a property in Kaufman County, TX? The sections above highlight common project types, practical options, and details that often shape the scope of work.

When you are ready, use the quote form to share a few details about your project. Local pros can review the basics and respond with options that match what you have in mind.

Get an Ants Extermination Service Quote

Ants Extermination Quotes

Our Trusted Partners
Cantu Pest Control
Orkin
Hawx Pest Control